O que necessita saber sobre nós

Na AltitudeSightAgro, somos especialistas em agricultura de precisão e sensoriamento remoto. Nossa equipe multidisciplinar realiza voos UAV com RTK/PPK, usando drones multiespectrais para mapear sua lavoura com precisão centimétrica. Do planejamento ao relatório final, oferecemos:
- Soluções em fotogrametria e modelagem 3D
- Mapas de NDVI, NDRE, SAVI e índices personalizados
- Consultoria agronômica para otimização de recursos


Aquisição de Dados Aéreos com Drone
Voos programados para capturar imagens multiespectrais, RGB e térmicas. Precisão centimétrica com RTK/PPK.
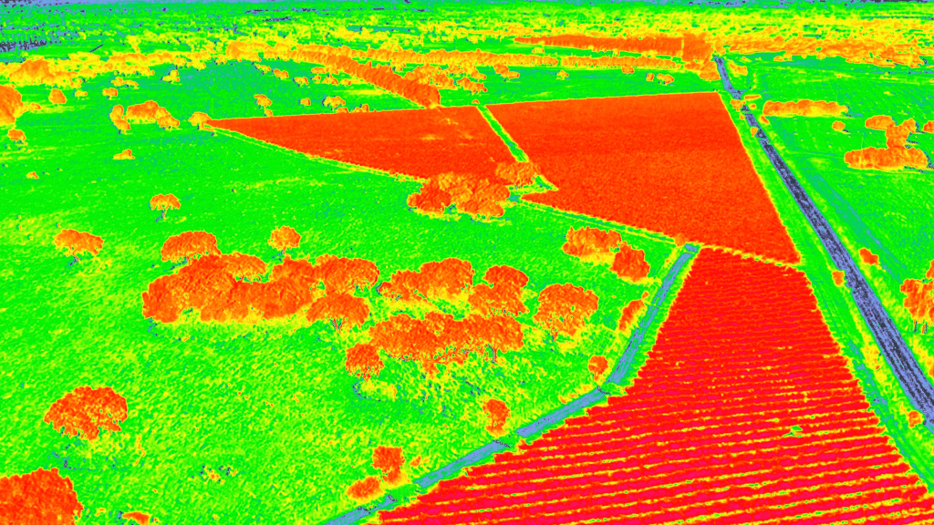
Análise de Índices de Vegetação
Geração e interpretação de NDVI, NDRE, SAVI e mapas de estresse, com relatórios que facilitam a tomada de decisão.
Mapas de Pulverização e Prescrição
Desenvolvimento de mapas de aplicação de taxa variável, compatíveis com sistemas de pulverização agrícola.
Inspeção e Monitoramento Contínuo
Serviços recorrentes para monitorar pragas, doenças e performance da safra, com dashboards interativos.